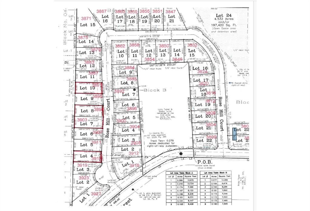
3891 Rose Hill CourtDenison, TX 75020
Due to the health concerns created by Coronavirus we are offering personal 1-1 online video walkthough tours where possible.




Available 60 ft wide lot in beautiful established new community in Denison, TX. Development is less than .5 miles west of Hwy 75 off of Crawford Street, which provides convenient access to local amenities, businesses and surrounding areas, including Lake Texoma. Bring your own builder and build your dream house as there are limited building restrictions through the established HOA. The Denison-Sherman area is experiencing phenomenal growth through the expansion and addition of area businesses - this is a very unique and rare opportunity to build your new home in a new community with the builder of your choice. Development is zoned SF-7.5: Refer to Denison, TX zoning ordinance for SF-7.5 for all zoning information. A survey of the lot is not available, there is a certified final plat of the development that shows individual lot information and will be used for closing. A survey of the lot, if desired, will be the sole responsibility of the buyer. All information to be verified by buyer and buyer's agent
| 3 weeks ago | Listing updated with changes from the MLS® | |
| 3 weeks ago | Price changed to $75,000 | |
| a month ago | Listing first seen on site |
© 2020 North Texas Real Estate Information Systems. All rights reserved. Information is deemed reliable but is not guaranteed accurate by the MLS or NTREIS. The information being provided is for the consumer's personal, non-commercial use, and may not be reproduced, redistributed, or used for any purpose other than to identify prospective properties consumers may be interested in purchasing.
Last checked: 2026-03-05 11:34 PM CST
Did you know? You can invite friends and family to your search. They can join your search, rate and discuss listings with you.